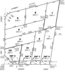
Subdivision of Land (1 into 13 Lots) and Drainage Reserve
Caboolture, Moreton Bay
Project Scope: Complete end-to-end town planning and surveying for 1 into 13-lot residential subdivision in Caboolture, from initial feasibility, statutory approvals and site-wide survey control to as-constructed verification and final title registration.
Client: Gibb Lee Properties
Project Duration - 2021-2025
Murray & Associates provided town planning and surveying services for the subdivision of land at Caboolture for Gibb Lee Properties. The project involved the reconfiguration of a single parcel into 13 residential lots and a dedicated drainage reserve, forming a new infill neighbourhood located off Jensen Road and Ibis Court. The development supports the ongoing growth of the Caboolture region by delivering well‑planned residential lots with appropriate stormwater and servicing outcomes.
Our planning team managed the development application process, addressing subdivision design, drainage requirements and compliance with the local planning framework. Surveying services were delivered across the full project lifecycle, beginning with the initial contour and detail survey to inform engineering design. Murray & Associates also completed the identification survey to confirm boundaries, established survey control across the site, and prepared the easements required to support services infrastructure.
During construction, our team undertook as‑constructed surveys to verify compliance with design specifications and ensure accurate placement of civil works. The final survey plan was prepared for lodgement with Titles Queensland, enabling the registration of the new lots and completion of the subdivision.
Through coordinated planning and surveying input, Murray & Associates provided the technical foundation necessary to support the efficient delivery of this 13‑lot residential subdivision and its associated drainage reserve.














